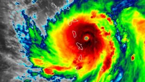
Hurricane Maria, one of the strongest ever to hit Puerto Rico, made landfall Wednesday, packing winds of 155 mph as it ripped through the Caribbean, having already battered the Virgin Islands.
Telegraph reports:
The “monster” storm is one of the strongest to ever hit the US territory, with warnings that heavy rain could cause landslides and storm surges of up to 9ft that risk swamping low-lying areas.
BYPASS THE CENSORS
Sign up to get unfiltered news delivered straight to your inbox.
You can unsubscribe any time. By subscribing you agree to our Terms of Use
Maria began lashing the US Virgin Island of St Croix early on Wednesday, as it continued to cut a deadly north-westerly path through the Caribbean.
Madonna Exposes Illuminati Blood Sacrifice Rituals in Leaked Footage: ‘The Currency is Kids' Blood'
It made landfall in Puerto Rico at 11.15am BST in the southeast coastal town of Yabucoa and is expected to punish the island with life-threatening winds that have torn off roofs and sent doors flying from hinges for up to 24 hours.
Watch live: Track path of Hurricane Maria
“This is going to be an extremely violent phenomenon,” Governor Ricardo Rossello said. “We have not experienced an event of this magnitude in our modern history.” US President Donald Trump described Hurricane Maria as a “monster”, adding: “Our hearts are with you.”
Around 3.5 million residents were urged to seek shelter after warnings Maria could devastate Puerto Rico, a haven for people fleeing other storm-hit Caribbean islands, amid fears debris left by Hurricane Irma could cause even more damage.
Metal roofs were already flying and windows were breaking as the storm approached before dawn, with nearly 900,000 people without power.
The second maximum-strength storm to sweep through the Atlantic this month has already killed at least eight people – one person on Guadeloupe and seven people on the island of Dominica, where 90 per cent of buildings are reportedly destroyed. Details of damage are limited due to communications being down.
Maria had maximum sustained winds of 90mph as its outer eyewall began to lash the US Virgin Island of St Croix at 6am BST on Wednesday before moving west.
Describing the storm as “potentially catastrophic”, the US National Hurricane Centre said: “Some fluctuations in intensity are likely during the next day or two, but Maria is forecast to remain an extremely dangerous category four or five hurricane until it moves near or over the Virgin Islands and Puerto Rico.”
The storm is following a similar path to Irma, one of the most powerful in decades, and relief workers raced to secure loose debris that have the potential to make Maria more hazardous if picked up by high winds.
Damage on the British Virgin Islands is unclear after Maria skirted past early on Wednesday.
“Our islands are extremely vulnerable right now,” the territory’s premier Orlando Smith said in a statement, warning that the storm could turn debris left by Irma into dangerous projectiles.

See Also: Cloud Seeding Being Used To Worsen Impact Of Hurricanes

