The People's Voice
  • Home
  • News
    • US
    • UK
    • Middle East
    • World
    • Health
    • Sci/Environment
    • Technology
    • Entertainment
  • Videos
  • Contact Us
  • Forum
  • Contact Us
  • About
  • Corrections
  • Advertise
  • Privacy
  • Terms of Use
Headlines
  • [ April 29, 2026 ] White House Bombshell: Dr. Fauci Facing ‘Death By Firing Squad’ For Killing Millions During COVID News
  • [ April 29, 2026 ] Trump Is King Charles’ Cousin — The Bombshell That Proves the U.S. Presidency Has Always Been an Elite Bloodline Ritual News
  • [ April 29, 2026 ] ‘Interdimensional Beings Are Here’: Rep. Anna Paulina Luna Says Congress Has Seen the Proof — And the Public Is Next News
  • [ April 29, 2026 ] 22 Buddhist Monks Busted at Airport with 242 Pounds of Marijuana in Their Luggage News
  • [ April 29, 2026 ] Mainstream Media Silent Over Starmer Rent Boys Trial News
Home2017September

Month: September 2017

Man sent to prison for installing wind turbine on his own property
News

U.S. Man Sent To Prison For Installing Wind Turbine On His Property

September 27, 2017 Sean Adl-Tabatabai 9

A U.S. man has been sent to prison for the crime of installing a wind turbine on his own property in Orono, Minnesota. When Jay Nygard decided to add a 2 story wind turbine to […]

Fake News writer who wrote anti-Clinton stories found dead
News

Famous ‘Fake News’ Writer Who Wrote Anti-Clinton Stories Found Dead

September 27, 2017 Sean Adl-Tabatabai 5

Hillary Clinton finally got what she wanted. Famous ‘fake news’ writer Paul Horner, author of many anti-Clinton articles, has been found dead.  Accused of being the ‘leading purveyor of fake news’ in the 2016 presidential […]

Harvard Scientist who had a stroke figures out the mystery of life
Sci/Environment

Harvard Scientist Who Had A Stroke Figures Out The Mystery Of Life

September 27, 2017 Sean Adl-Tabatabai 1

A Harvard scientist who suffered a stroke says the experience caused her to figure out who we, as humans, really are. Neuroscientist Jill Bolte Taylor experience a stroke in 1996 – and she was fully […]

Investigators accuse Planned Parenthood of running pedophile protection racket
News

Investigators: Planned Parenthood Operates Pedophile Protection Racket

September 27, 2017 Sean Adl-Tabatabai 1

Girls as young as 10 were taken to Planned Parenthood facilities by their sexual abusers where staff failed to report the crimes, investigators claim. Over 60 court cases reveal that young girls were taken to […]

ISIS fighter admits the terrorist group is funded by Israel
Middle East

ISIS Fighter Admits They Are Paid By Israel To Support Kurds

September 27, 2017 Sean Adl-Tabatabai 1

An ISIS fighter operating in Deir Ezzor in Syria’s east has admitted the group are funded by Israel in order to undermine the Syrian Army. The revealing video posted on Tuesday, features Mohammed Moussa al-Shawwakh, who claims […]

Erdogan threatens Iraqi Kurds with famine on eve of referendum
Middle East

Erdogan Threatens Iraqi Kurds With ‘Devastating’ Famine

September 27, 2017 Sean Adl-Tabatabai 0

Turkish President Recep Tayyip Erdogan has threatened Iraqi Kurds with a devastating famine that will kill millions of them, unless they vote the correct way in Tuesday’s referendum.  Erdogan warned that he will stop the flow […]

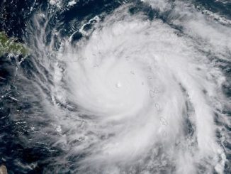
Double hurricane set to wreak havoc in UK
News

Weather Warning: Double Hurricane To Slam Into UK On Monday

September 27, 2017 Sean Adl-Tabatabai 1

The UK Met Office has issued a severe weather warning for next week as two Hurricanes look set to merge into one ‘superstorm’ and wreak havoc across Britain.  Destructive winds, and devastating floods are expected […]

Hillary Clinton claims defending the national anthem is racist
News

Hillary Clinton: Defending The National Anthem Is ‘Racist’

September 27, 2017 Sean Adl-Tabatabai 2

Hillary Clinton told MSNBC that defending the American national anthem is a ‘racist’ act and claims boycotting it is an act of bravery. In a wild rant to MSNBC host Chris Hayes, the deluded Presidential […]

Ex police officer arrested outside White House claims to be MK Ultra victim
Conspiracies

Officer Arrested Outside White House Says He’s An MK Ultra Victim

September 27, 2017 Sean Adl-Tabatabai 0

A former US police officer who was arrested outside the White House on Monday, claims he is a victim of the CIA’s mind control program – MK Ultra. Timothy J. Bates told police he was […]

Most Americans wish to boycott the NFL, national survey reveals
News

National Survey Reveals 64% Americans Ready To Boycott NFL

September 27, 2017 Sean Adl-Tabatabai 10

A national survey conducted by the Remington Research Group reveals that 64% of Americans are ready to boycott the NFL over their disgraceful national anthem protests.  The public poll highlights two things: Firstly, Americans largely agree […]

Posts pagination

« 1 … 6 7 8 … 47 »

Latest Video

Sponsorship enquiries:

sponsor@thepeoplesvoice.tv

White House Bombshell: Fauci Facing 'Death By Firing Squad' For Killing Millions During COVID

King Charles 'Dying of Kuru' After Decades of Child Meat Banquets

Iran Release Proof Mossad and Erika Kirk Planned 'False Flag' Trump Shooting

  • ‘I Make Love To Men Daily’: Obama’s Letter to Ex-Girlfriend Reveals Frequent Gay Sex Fantasies
    August 13, 2023 3
  • YouTube Removes Footage Of Coalition Airstrikes In Iraq
    September 29, 2017 0
  • Obama's invasion of Syria was drawn up by Kim Roosevelt in 1957
    Obama’s Syria Invasion Was Devised By Kim Roosevelt In 1957
    January 19, 2016 0
  • Church of England declares Jesus is non-binary
    Church of England Declares ‘Jesus Is Non-Binary’
    February 8, 2023 12
  • Rep. Debbie Wasserman Schultz says President Trump will cower in a corner due to his overwhelming guilt
    Wasserman Schultz: Trump Will ‘Cower in a Corner’ Due to His Overwhelming Guilt
    December 9, 2019 7
  • nhs STAFF
    NHS Is Spending £40 Million A Year On ‘Diversity Officers’
    October 16, 2022 8
  • US submarine
    US Nuclear Submarine Sent To Middle East Amid Iran Tesnions
    November 8, 2023 2
  • Former CDC director ousts Fauci, says he knew about COVID research
    CDC Director Outs Fauci, Says He Knows He Funded COVID Research
    September 17, 2022 4
  • Sexual Abuse Of Hundreds Of Children Covered Up By US Bishops
    Sexual Abuse Of Hundreds Of Children Covered Up By US Bishops
    March 2, 2016 1
  • The new Emerson College poll shows that independents have dramatically swung against impeachment following the public hearings.
    Polls: Impeachment Show Trial Backfired Spectacularly On Democrats
    November 22, 2019 5
  • World Health Organization
    WHO Warns Festivals & Large Gatherings Might Accelerate Spread Of Monkeypox In Europe
    May 21, 2022 3
  • CSAD heart attack
    Heart Attacks Are Skyrocketing, and MSM Is Blaming EVERYTHING Except Covid Vaccines
    March 29, 2022 10
  • Arrest warrant issued for brave journalist covering the North Dakota Access pipeline violence
    Arrest Warrant Issued For Dakota Access Pipeline Journalist
    September 12, 2016 1
  • PCC Shaun Wright resigns over Rotherham child abuse scandal
    September 16, 2014 0
  • deer being tested for covid
    UK: 2,000,000 Deer Are Being ‘Monitored’ For ‘Covid’ After Virus Spreads In US herds
    May 1, 2022 12
Dr. Anthony Fauci is headed for a firing squad — and the blood of millions will finally be washed off his hands with his own.
EDITOR’S PICKS

White House Bombshell: Dr. Fauci Facing ‘Death By Firing Squad’ For Killing Millions During COVID

by Baxter Dmitry in News 0

Fact Checked Limited
Email: contact@thepeoplesvoice.tv
  • Facebook
  • Twitter
  • Telegram

Copyright © 2025 Fact Checked Limited. All rights reserved | The People's Voice